Kammerjäger Fliegenbekämpfung in Zug
Ihre Experten für effektive Fliegenbekämpfung! Haben Sie mit einem Fliegenbefall zu kämpfen? Wir bieten schnelle, umweltfreundliche und professionelle Lösungen für Privat- & Gewerbekunden. Vertrauen Sie auf unsere Erfahrung für eine nachhaltige Schädlingsbekämpfung!
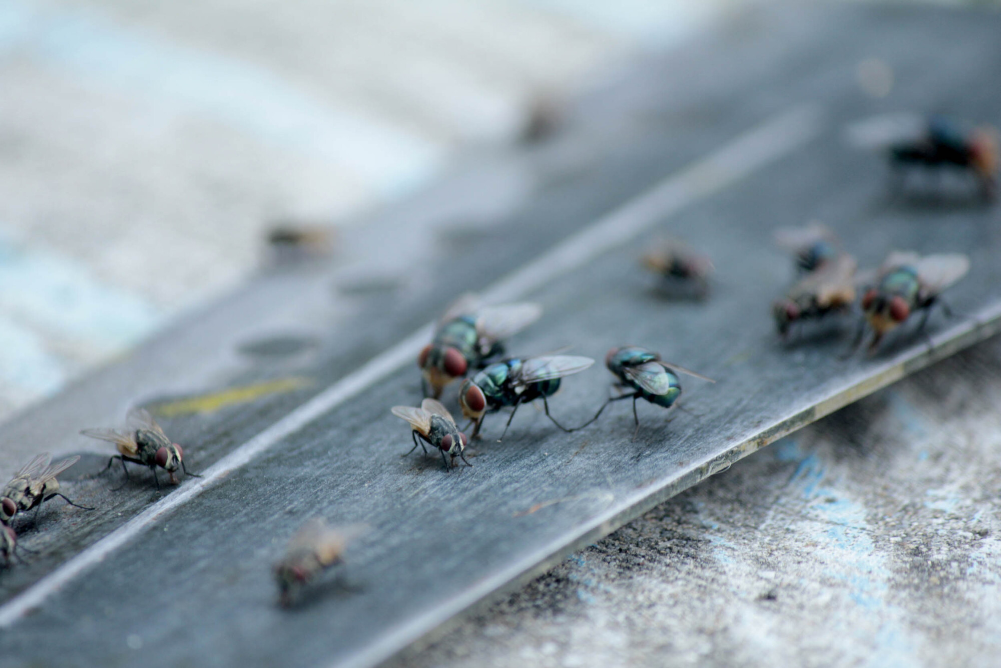
Professionelle Fliegenbekämpfung
Fliegen gehören zu den am häufigsten vorkommenden und störendsten Schädlingen in Haushalten und Betrieben. Durch ihre schnelle Vermehrung und die ständige Suche nach Nahrung stellen sie ein ernsthaftes Problem dar, da sie Lebensmittel verunreinigen und potenziell Krankheiten übertragen können. Unser spezialisiertes Schädlingsbekämpfungs in der Zug sorgt für eine effektive Beseitigung dieser Plage und hilft Ihnen, eine hygienische und fliegenfreie Umgebung in Ihrem Zuhause oder Unternehmen zu erhalten.
Kontaktieren Sie uns noch heute! 044 500 24 50 oder über unser formular.
Identifizieren Sie einen Fliegenbefall
Ein Fliegenbefall kann sich durch verschiedene Anzeichen bemerkbar machen:
- Vermehrtes Auftreten von Fliegen – Eine grosse Anzahl von Fliegen in Innenräumen deutet auf eine mögliche Brutquelle hin.
- Larven (Maden) in Abfällen oder Feuchtbereichen – Fliegen legen ihre Eier bevorzugt in organischen Abfällen, Lebensmittelresten oder verrottendem Material ab.
- Summende Geräusche – Ein anhaltendes Summen in der Nähe von Fenstern, Mülltonnen oder in versteckten Ecken weist auf eine Fliegenplage hin.
- Kotspuren an Wänden oder Oberflächen – Kleine schwarze Punkte können Fliegenkot sein, der oft in befallenen Bereichen sichtbar ist.
- Unangenehme Gerüche – Verrottende Lebensmittel oder Abfälle, in denen Fliegen Eier legen, verursachen oft einen starken, unangenehmen Geruch.
Sollten Sie diese Anzeichen bemerken, empfiehlt sich eine professionelle Schädlingsbekämpfung, um den Fliegenbefall effektiv zu beseitigen.
Warum Fliegenbefall vertreiben?
Fliegen sind nicht nur störend, sondern auch eine ernsthafte Gefahr für die Gesundheit. Sie können Krankheitserreger auf Lebensmittel und Oberflächen übertragen, was das Risiko von Infektionen wie Salmonellose und Gastroenteritis erhöht. Da Fliegen häufig in Abfällen, Fäkalien und verrottenden Lebensmitteln brüten, tragen sie zahlreiche Bakterien und Viren an ihren Körpern, die leicht auf Küchenbereiche und Esswaren gelangen. Dies kann zu Lebensmittelvergiftungen und anderen gesundheitlichen Problemen führen, weshalb eine schnelle Bekämpfung unerlässlich ist.
Tipps zur Vermeidung von Fliegenbefall
Um einen Fliegenbefall zu verhindern, helfen folgende Massnahmen:
- Lebensmittel abdecken – Offene Speisen immer verschliessen, um Fliegen nicht anzulocken.
- Müll regelmässig entsorgen – Abfälle, besonders organische Reste, zeitnah entsorgen und Mülltonnen sauber halten.
- Saubere Küche & Essbereiche – Essensreste sofort entfernen und Arbeitsflächen regelmässig reinigen.
- Fenster & Türen schützen – Fliegengitter an Fenstern und Türen anbringen, um das Eindringen zu verhindern.
- Stehendes Wasser vermeiden – Pfützen und offene Wasserquellen beseitigen, da sie Brutstätten für Fliegen sein können.
Mit diesen Massnahmen lässt sich das Risiko eines Fliegenbefalls deutlich reduzieren.
Häufige Fragen zu Fliegenbekämpfung
Sofortmassnahmen wie Fliegensprays, elektrische Fliegenfallen oder das Entfernen von offenen Lebensmitteln und Müll helfen schnell gegen Fliegen.
Lüften, Fliegengitter anbringen, Essensreste entfernen und Hausmittel wie Essig-Wasser oder Zitronenscheiben mit Nelken nutzen.
Fliegen meiden Gerüche wie Lavendel, Zitronengras, Nelken, Essig, Eukalyptus und Teebaumöl.
Selbstgemachte Fallen mit Essig und Spülmittel oder kommerzielle Klebefallen sind besonders effektiv gegen Fliegen.
Offene Lebensmittel, Müll und stehendes Wasser locken Fliegen an. Essig-Spülmittel-Fallen oder elektrische Insektenvernichter töten sie zuverlässig.
Fliegen reagieren empfindlich auf Essig, Zimt, Basilikum, Pfefferminzöl und Zitronen mit Nelken, die sie fernhalten.
Einfache Kontaktaufnahme in wenigen Schritten oder direkt per Telefon und Chat.
News zur Schädlingsbekämpfung
News: Bettwanzen-Alarm im Kanton Zug? So handeln Sie jetzt richtig!
Bettwanzen sind im Kanton Zug – wie in der gesamten Zentralschweiz – wieder auf dem Vormarsch. Ob durch Reisegepäck eingeschleppt oder durch gebrauchte Möbel: Ein Befall hat nichts mit mangelnder Hygiene zu tun, erfordert aber sofortiges, professionelles Handeln.
Fliegenkontrolle in Büros und Produktionsstätten
Fliegen sind nicht nur lästig, sondern können in Büros und Produktionsumgebungen erhebliche Störungen und Risiken verursachen.
Diskrete Schabenbekämpfung für den B2B-Sektor
Besonders im B2B-Sektor, in dem Hygiene, Sauberkeit und Sicherheit eine wichtige Rolle spielen, kann ein Schabenbefall schnell zu einem ernsthaften Problem werden.
Kammerjäger in der Nähe
Kreis 1 - City, Lindenhof, Rathaus & Hochschulen
Kreis 2 - Enge, Wollishofen & Leimbach
Kreis 3 - Sihlfeld, Alt-Wiedikon & Friesenberg
Kreis 4 - Langstrasse, Werd & Harde
Kreis 5 - Escher Wyss & Gewerbeschule
Kreis 6 - Unterstrass & Oberstrass
Kreis 7 - Fluntern, Hottingen, Hirslanden & Witikon
Kreis 8 - Weinegg, Mühlebach & Seefeld
Kreis 9 - Altstetten & Albisrieden
Kreis 10 - Wipkingen & Höngg
Kreis 11 - Oerlikon, Seebach & Affolter
Kreis 12 - Schwamendingen, Saatlen & Hirzenbach
Ecotox GmbH
Öffnungszeiten:
Montag - Sonntag: 07:00 - 21:30
